TRILOCALE ALL' ASTA A CASSANO MAGNAGO

39.000 €
99 m²
Superficie
3
Locali
2
Camere
1
Bagni
in vendita
3 locali
Cassano Magnago
Descrizione
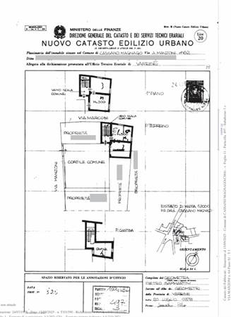
Appartamento di 99,05 mq di vecchia costruzione, sito al piano terra e primo con annessa cantina sita al piano interrato e wc sito a piano ammezzato, facente parte di un complesso a corte.

NONSOLOASTE è una società che si occupa del mercato immobiliare a 360 gradi.
Siamo specializzati in aste e stralci immobiliari e forniamo un’assistenza completa, dalla ricerca dell’immobile fino alla consegna delle chiavi. Il nostro team è composto da professionisti con esperienza ventennale nel settore immobiliare, che ti accompagneranno nell’acquisto del tuo immobile!
Inoltre, grazie alle nostre collaborazioni, potrai facilmente accedere a un mutuo al 100% con delibera prima di andare all’asta!
Devi ristrutturare? Ci pensiamo noi: avrai un prezzo agevolato e personalizzato in base alle tue esigenze!
NOI POSSIAMO DARE VITA AL TUO SOGNO ORA! NON ESITARE A CHIAMARCI: TEL. 3802487735
Caratteristiche principali
Codice:
G292
Città:
Cassano Magnago
Categoria:
3 locali
Locali:
3
Camere:
2
Bagni:
1
Mq:
99
Piano:
Terra
Anno:
1967
Classe energetica:
Non dichiarata
Stato Immobile:
Buono
Grado:
Economico
Posizione:
Centro
Panorama:
Vista Aperta
Orientamento:
Nord Ovest Sud Est
Lati Liberi:
4
Giardino:
Cortile
Arredi:
Semi Arredato
Tipo Soggiorno:
Soggiorno
Tipo Cucina:
Abitabile
Riscaldamento:
Autonomo
Tipo Riscaldam.:
Caldaia
Tipo Impianto:
Radiatori
Fonte Energetica:
Metano
Acqua Calda:
Autonoma
Raffrescamento:
Split
Infissi:
Legno Doppio Vetro
Serramenti:
Buono
Persiana:
Tapparella PVC
Pavim. Giorno:
Ceramica
Pavim. Notte:
Ceramica
Pavim. Cucina:
Ceramica
Pavim. Bagno:
Ceramica
Accesso Disabili:
No
Accessori
Doppi Vetri
Passaggio Pedonale
Porta Blindata
Ripostiglio
Planimetrie
Mappa
Via Alessandro Manzoni, 64 - Cassano Magnago (VA)
Cookie preference